Available  

Land for sale

South View, Liskeard, Cornwall

PL14 3EX, South View, Liskeard, PL14, Liskeard

Sale Price: £99,950

 

Listed 15 days ago and may not be available Listed on 5/21/2016

 13 Baytree Hill Liskeard Cornwall PL14 4BG
*When you call don't forget to mention Houser.co.uk

South View, Liskeard, Cornwall

Property Summary:

Land
-- Bed(s)
-- Bath(s)
interested in this property.
 

Property description

Full description

Tenure: Freehold

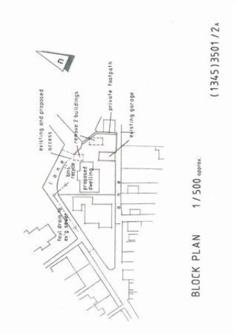
Single building plot in tucked away location on town outskirts
Outline planning permission for a 4 bedroom, 2 bathroom 2 storey dwelling
Good road access with provision for a garage and parking
Mains services available nearby
In level walking distance of the town centre
Close to nearby amenities including schools and leisure centre
Viewing strictly by appointment only

Property ref: 121_2310_4154862

PLANNING 
Planning was granted by Cornwall Council for the construction of a brand new two storey detached residence with private access drive on the land to the rear of South View, Callington Road, Liskeard, Cornwall, PL14 3EX, under cover of Application and Decision Number PA15/00661. A copy of the full planning consent may be obtained from the agents upon request.

The building plot at South View is on the eastern outskirts of Liskeard, less than half a mile from the town centre yet in a tucked away location. Liskeard is a thriving market town situated in South East Cornwall, approximately 15 miles from the larger towns of Launceston and Tavistock, and 20 miles from Plymouth City centre which is therefore within commuting distance via the Tamar Bridge at Saltash. Amenities in Liskeard include a varied shopping centre, reputable schools, health centre and community hospital, leisure centre, library, bus services and mainline railway station. Bodmin Mooris nearby p...

ARCHITECT DESIGN 
A superb and stylish design has been prepared for the dwelling by Urban and Rural Planning Associates Ltd. Full copies of the drawings for the proposed dwelling may be viewed at Parkes & Pearn's office in Liskeard and if required full copies may be obtained at a cost from Urban and Rural Planning Associates Ltd, Suite 1, Parade House, The Parade, Liskeard, Cornwall, PL14 6AF. Telephone 01579 340900.

The planning application is subject to the design as prepared. However, prospective purchasers may look to slightly alter the design which is subject to amending planning consent.

SERVICES 
Currently no services are connected to the site, however mains water, electricity, sewerage and gas are understood to be available nearby. The cost of any connection of these services to the site must be assessed by prospective purchasers.

 
 
 
Parkes & Pearn
13 Baytree Hill Liskeard Cornwall PL14 4BG

Free House valuation